-
日期: 2025-10-28 | 來源: 加西網 | 有0人參與評論 | 專欄: 美東颶風 | 字體: 小 中 大(加西網綜合) 當地時間周二(10月28日)下午,史上最強颶風之一“梅麗莎”(Melissa)強勢登陸牙買加,成為大西洋盆地有記錄以來最強的颶風之一。
目前,牙買加全島進入緊急避難狀態!強風暴雨、風暴潮齊襲,風速高達295公裡/小時,居民被迫躲進避難所。氣象專家警告:不要被短暫平靜迷惑,風暴眼過去後更危險!國際援助已緊急調配,全球關注牙買加的生死時刻。

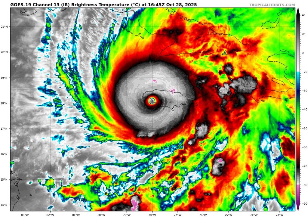
美國國家颶風中心(NHC)最新通報顯示,“極度危險”的梅麗莎颶風正橫掃牙買加西部,帶來毀滅性風力、洪水和風暴潮。截至東部時間下午2點,颶風中心距蒙特哥灣約35公裡,最大持續風速達270公裡/小時。NHC警告稱,“沿梅麗莎路徑的地區,尤其是高地和山坡上的建築可能完全毀壞,局部風速可能比預報高出30%”。
迄今為止,已報告多人死亡。當地居民已被警告在室內避難,預計風速將達到 185 英裡/小時,並可能引發洪水和巨浪。
颶風預計將從牙買加南部聖伊麗莎白教區進入,向北穿越至聖安教區後進入古巴。隨後,風暴將繼續向巴哈馬地區推進,多個地區已發布颶風警告,包括古巴的格蘭瑪省、聖地亞哥-德古巴省、關塔那摩省、奧爾金省和拉斯圖納斯省,以及巴哈馬東南部和中部地區。民眾緊急避險
國家颶風中心呼吁牙買加居民留在安全的避難所內,不要隨意外出:“在颶風眼通過期間,不要冒險外出,風力會在眼牆背面迅速增強”。NHC建議,將盡可能多的牆體置於身體與外界之間,待在無窗的內部房間,並可用床墊和頭盔增強防護。
盡管當局已開放130多個避難所,但截至周一晚,僅有不到1000人響應疏散令。牙買加官員對此表示擔憂,並敦促民眾積極前往避難。部分地區如金斯敦以西的老港社區,約有200人擠進避難所。
颶風影響深遠
颶風獵人(Hurricane Hunters)空軍團隊曾飛入梅麗莎颶風眼,記錄下驚險畫面。氣象學家表示,颶風強度之大可能在半代人內改變牙買加的自然景觀,包括大量植被被連根拔起。加拿大氣象專家預測,梅麗莎將持續向北移動,可能間接影響加拿大東部地區。
預計周五,來自美國東北部的低壓系統可能吸入梅麗莎帶來的熱帶水汽,導致大西洋省份以及安大略和魁北克部分地區出現強風和暴雨。

- 加西網版權所有,未經授權或許可,嚴禁轉載或摘錄
- 48集諜戰大劇來襲,杜志國、何政軍、李幼斌領銜,看得我拍案叫絕
- BC華裔女子抵押並借錢 被騙$67萬
- 難民狂罵加國的萬聖節裝飾 被噴慘
-
- 振龍電器 各類熱銷家電 種類齊全
- 37歲男教授突發疾病去世 曝光原因
- 經濟瀕臨衰退關稅增加 加元跌不停
- 溫哥華的秋天正在發光 實拍楓葉街
- 黑色素瘤幸存者談早期診斷與防曬
- 小杜和水果姐曝新戀情 梅根尷尬了
-
- 華裔女富豪收購The Bay門店租約夢碎
- 向北京跪了!為了稀土,他們都拿出壓箱底寶貝
- 溫哥華牙醫 采用先進技術最新設備
- 倒閉車企的爛尾車 成了中國年輕人的香餑餑
- "黨啊黨 你為什麼成了腐敗的溫床?"
- 北京也吃不到李嘉誠的港口了?巴拿馬狠嗆長和
-
- 美中談判重大進展 葛裡爾:可交川習簽署
- 北京給的?俄央自爆一筆天降巨款
- 利智和李連傑合影,一個合不攏嘴,一個一臉苦相
- 四中全會成僵局 1現象顯示習已失軍權
- 川普登機前表明"想見金正恩" 朝鮮詭異動向曝光
- 溫哥華餐廳受夠了 蜘蛛俠入室盜竊
-
目前還沒有人發表評論, 大家都在期待您的高見
