-
_NEWSDATE: 2025-10-30 | News by: 中时新闻网 | 有0人参与评论 | 专栏: 美东飓风 | _FONTSIZE: _FONT_SMALL _FONT_MEDIUM _FONT_LARGEHurricane Melissa's deadly 'rapid intensification' is likely to become more common in future storms, warn Alexander Baker and Professor Liz Stephens of @unirdg_met for @conversationuk
* https://t.co/ar4cjvUsrH pic.twitter.com/0JY6dqzacS— Connecting Research (@UniRdg_Research) October 30, 2025
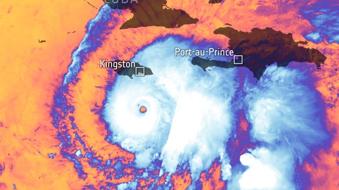
热带气旋侵袭沿海事件持续增加,海洋升温更让飓风快速变强;如近期飓风「梅丽莎」(Melissa),短时间便升级为5级强度,大肆破获加勒比海地区。研究指出,暖海水为飓风提供源源不绝的能量,使其在短时间内迅速增强,这种被称为「快速增强」(Rapid Intensification)的现象正日益频繁。
综合外媒报导,飓风「梅丽莎」在短短48小时内从普通热带风暴,暴冲升级为5级强飓风,在28日登陆牙买加时风速超过每小时145 公里,成为自1851年有纪录以来最强的风暴,目前已知造成至少30 多人死亡,威胁整个加勒比海地区。
「闪电升级」愈见频繁海洋升温成关键杀手
如「梅丽莎」飓风的「闪电升级」并非首例。2024年的「海伦」(Helene)1天内从1级升至4级、「米尔顿」(Milton)2天内暴长为5级、2018年的「麦可」(Michael)更在登陆佛州前1天,从2级窜升至5级,造成超过250亿美元损失。
根据国际期刊权威《自然》(Nature)「近期全球近海地区热带气旋快速增强事件增加」研究指出,过去40年间靠近海岸400公里范围内的快速增强风暴已明显增加,气候模型更显示全球海洋暖化加剧这样的变化;在未来气候变暖的情况之下,「快速增强」事件恐变得更多。
飓风的能量来自温暖海水蒸发后释放的热能与低气压循环,若再加上空气湿度高、垂直风切弱,所有条件都恰到好处,飓风便能稳定增强;然而要预测飓风的「快速增强」现象仍然十分困难,需要许多不断变化的条件同时满足,而现象更可能突然出现。
迹象表明,气候变迁导致北太平洋降雨量增加,进而造成海洋澹化,加剧该地区的台风(相当于飓风)强度;若澹水流入或暴雨造成的表层澹水层阻止冷水上涌,便会让海面持续高温,造成飓风不断增强;现象在2017年的「艾玛」(Irma)飓风中明显发生。
德州农工大学海洋学家Henry Potter指出,「不可避免的是,海洋将会变得如同夏天浴缸里的水,环境相当适合让飓风变强。」科学家忧心,随着全球暖化持续升温,人类将迈入热带气旋更勐、时间更短、破坏更深的时代。- 新闻来源于其它媒体,内容不代表本站立场!
- 史上最强的飓风登陆了 全球在围观
- 加国候鸟族放弃美国 这些地方置业
- 夏令时周日结束 批评者发出了警告
- 振龙电器 各类热销家电 种类齐全
-
- 医生短缺 大温这医院急诊今晚关闭
- 加国建筑工人四年内2次中彩票大奖
- BC提案护租户 锁定空置屋租金涨幅
- 大温这族裔社区发通杀令?社区恐慌
- 美墨通缉 中国毒枭"王哥"古巴落网
- 1991年,保姆向洪剑涛借10万买房,洪剑涛二话不说便将钱给了她
-
- 骂完郭富城骂刘欢,恶心一幕出现又出现,收手吧,牛鬼蛇神们!
- 东京电影节,范冰冰秒杀全场,生图白又嫩
- 川习会 纽时:强人政治回归让世界步入危险时代
- 这航空开通温哥华至托菲诺新航班
- 不再藏着掖着!中国学者:统一台湾只为四样东西
- 美国正陷黑暗时刻!拜登发声批川普
-
- 娶美国博士的河南小伙回应"吃软饭":我收入不低
- 加拿大歌手把国歌这样唱 网友炸锅
- 内幕:中国CEO偷安世机密 迫使荷兰出手
- 唐嫣罗晋被曝长期分居, 恩爱夫妻人设翻车....
- 力邦艺术港 展览活动拍摄场地租赁
- 谈判中断时 加美本已接近达成协议
-
目前还没有人发表评论, 大家都在期待您的高见
